Patates Mildiyösü Hastalığı Belirtileri, Nedenleri Ve Mücadelesi
Patates Mildiyösü Hastalığı
(Phytophthora Infestans)
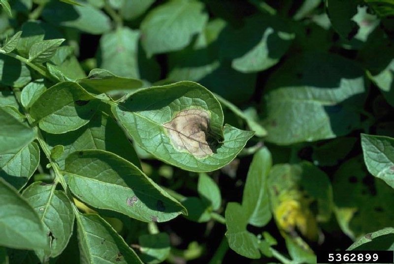
HASTALIK BELİRTİSİ
İlk belirtiler yaprakta küçük, soluk yeşil veya sarımsı lekeler halinde görülür. Hastalığın ilerlemesiyle lekelerin olduğu kısımlar kahverengileşir ve doku ölür. Uygun koşullarda tüm bitkiye yayılır. Tarlada başlangıçta ocaklar halinde birkaç bitkide görülür, orantılı nemin %80 ve sıcaklığın 19–22°C'de tüm tarlaya ve etraftaki tarlalara yayılır.

Yumrularda yüzeysel kuru çürüklük şeklinde, düzensiz eflatun ile siyah renk arasında sert lekeler belirir. Hastalık yumru etine doğru ilerler.
PATATES MİLDİYÖSÜ HASTALIĞIN GÖRÜLDÜĞÜ BİTKİLER
Hastalık patates ve domateste görülür.
PATATES MİLDİYÖSÜ MÜCADELE YÖNTEMLERİ

Kültürel Önlemler
- Temiz ve Sertifikalı tohum kullanılmalıdır.
- Hastalıklı bitki artıkları ve yumrular tarladan uzaklaştırılmalı
- Patates tarımı çiğ tutmayan güneye bakan yerlerde yapılmalıdır
PATATES MİLDİYÖSÜ KİMYASAL MÜCADELE
Hastalığın her yıl görüldüğü yerlerde ve büyük zarar yaptığı üretim alanlarında hastalık belirtileri görülmeden, günlük ortalama sıcaklığın 16 °C veya en düşük sıcaklığın 10°C'yi bulmasıyla ilaçlamaya başlanmalıdır. Hastalığın her yıl görülmediği alanlarda ise çevrede ya da tarlada ilk belirtiler görülür görülmez ilaçlamaya başlanmalıdır.
PATATES MİLDİYÖSÜ KİMYASAL MÜCADELEDE KULLANILACAK İLAÇLAR VE DOZLARI
| Etkili madde adı ve oranı | Formülasyonu | Doz 100 lt suya | İlaçlama ile hasat arası süre (Gün) |
| Bakır karbonat %50 | WP | 500 g | 14 |
| Bakır oksiklorid %50 | WP | 300 g | 14 |
| Bakır Sülfat % 25 (Bordo bulamacı) | Suda Çözünen Kristal | 1000 g +500 g | 14 |
| Bakır Sülfat+Mancozep+Cymoxanil % 57.7+20+2.4 | WP | 400 g | 7 |
| Captan %50 | WP | 350 g | 7 |
| Bakır Hidroksit % 53,8(% 35 Metalik Bakır) | DF | 200 g | 14 |
| Bakır Hidroksit % 35 | DF | 200 g | 14 |
| Dimethomorph + Mancozeb 9+60% | WP | 250 g | 5 |
| Famoxadone+Cymoxanil %22.5+%30 | DF | 40 g | 14 |
| Famoxadone+Mancozeb %6.25+%62.50 | DF | 80 g | 3 |
| Fenamidone+Mancozeb %10+%50 | DF | 150 g | 7 |
| Fentin acetate %54 | WP | 60 g | 14 |
| Fosetyl-Al+Mancozeb %35+%35 | WG | 350 g | 14 |
| Maneb %80 | WP | 300 g | 14 |
| Metalaxy+Mancozeb %4+%64 | WG | 250 g | 14 |
| Metalaxy+Mancozeb %8+%64 | WP | 250 g | 14 |
| Metiram %80 | WP | 200 g | 7 |
| Oxadixyl+Cymoxanil+ Mancozeb %8+%3.2+%56 | WG/WP | 250 g | 14 |
| Propamocarp hidroklorit 722 g/l | EC | 250 ml | 3 |
| Propineb %70 | WP | 200 g | 7 |
| Zoxamide+Mancozeb %8.3+%66.7 | WG | 180 g | 7 |
| Mandipromid + Mancozeb 5+60 % | WP | 250 g | 7 |
| Cymoxanil + metiram 4,8+57 % | WG | 200 ml | 14 |
| Mancozeb % 13,3 + % 30+Metalik Bakıra Eş Değer BakırOksiklorür ve Bakır Sülfat+ % 4 Cymoxanil | WG | 250 g | 21 |
- Patates A Virüsü Belirtileri, Nedenleri Ve Mücadele Yöntemleri
- Patates Adi Uyuz Hastalığı Belirtileri Ve Mücadele Yöntemleri
- Patates Beyaz Kist Ve Altın Nematodu (Globodera Rostochiensis Wollenw)
- Patates Çizgi Virüsü Belirtileri, Nedenleri Ve Mücadele Yöntemleri
- Patates Halka Çürüklüğü Hastalığı Belirtileri, Nedenleri Ve Mücadelesi
- Sorhocam
- ***@sorhocam.com
Kök hastalığı olabilir. Görmek lazım.
- Emine
- ***@sorhocam.com
- mehmet
- ***@




