Antep Fıstığı Kabuklu Biti Nedir? Zararları Ve Mücadele Yöntemleri
ANTEP FISTIĞI KABUKLU BİTİ
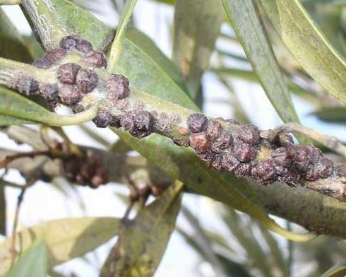
(Pistaciaspis pistaciae Arch.)
ANTEP FISTIĞI KABUKLU BİTİ TANIMI VE YAŞAYIŞI
Ergin boyları 2-2.5 mm. uzunca bir yapıda ve baş kısmı sivricedir. Kabuklu bitlerde dışta gevşek dokulu bir tortuyu andıran beyaz renkli bir tabaka bulunur Bu kabuk açıldığında erginin turuncu renkli olduğu görülür. Yumurtasız ergin olarak kışa girerler. Kışı bir yıllık ve daha yaşlı sürgünler üzerinde yumurtasız ergin durumunda geçirmektedir.
ANTEP FISTIĞI KABUKLU BİTİ ZARAR ŞEKLİ
Zararlı yaz ayları boyunca yapraklarda ve sürgülerde bazen de meyvelerde yerleşir ve bitkinin özsuyu ile beslenir. Bu beslenme sonucu zararlı yoğunluğu fazla ise bitki zayıflar, sürgünler deforme olur ve boyları kısalır Özellikle kurak geçen yaz aylarında bu zararlar daha bariz olarak görülmektedir
ANTEP FISTIĞI KABUKLU BİTİ ZARARLI OLDUĞU BİTKİLER
Yurdumuzda sadece antepfıstığıdır.
ANTEP FISTIĞI KABUKLU BİTİ MÜCADELE YÖNTEMİ
Kültürel Önlemler
- Bulaşmanın az ve belirli olduğu durumlarda bulaşık sürgünler kesilip bahçeden uzaklaştırılmalıdır.
- Bu önlemler aktif larvalar meydana gelmeden alınmalıdır.
ANTEP FISTIĞI KABUKLU BİTİ KİMYASAL MÜCADELE
Zararlının yoğun olduğu bahçelerde kışlayan erginlere karşı Şubat ve Mart aylarının uygun ve yağışsız günlerinde, hava sıcaklığının 12-13 °C bulduğu ve tomurcukların patlamasından 15-20 gün önce kış mücadelesi uygulanabilir.
Kabuklu bite karşı kış mücadelesi yerine ilkbaharda, yumurtaların açılımını takip ederek yapılacak bir ilaçlama tercih edilmelidir. Bu türlere karşı ilaçlı mücadeleye karar verirken, yararlı türlerin, özellikle parazitlerin etkinlikleri mutlaka gözlenmelidir. Mücadeleye karar verirken, bahçe büyüklüğüne göre, her 10 ağaç üzerinde en az 20 sürgün kontrol edilir. Üzerinde en az 10 ergin bulunan sürgünler bulaşık kabul edilerek, yapılan kontrollerde bulaşık sürgün sayısı % 10 ve daha yukarı ise ilaçlamaya karar verilir.
İLGİNİZİ ÇEKEBİLİR
- Antep Fıstığı Dal Güvesi Nedir? Zararları Ve Mücadele Yöntemleri
- Antep Fıstığı Göz Kurdu Nedir? Zararları Ve Mücadele Yöntemleri
- Antep Fıstığı Gözkurdu Zararlısı Ve Mücadele Yöntemleri
- Antep Fıstığı İç Güvesi Nedir? Zararları Ve Mücadele Yöntemleri
- Antep Fıstığı Karagöz Kurdu Nedir? Zararları Ve Mücadele Yöntemleri
- Çiftçi Mehmet
- ***@sorhocam.com

