Küçük Tohumlu Yonca Küskütü (Cuscuta Approximata Bab.) Otu
Cuscuta approximata Bab. (Küçük Tohumlu Yonca Küskütü)
(Parazit Bitkiler - Yarı Parazit)
Familyası: Cuscutaceae
Sinonimi: C. planiflora Ten var. approximata Engel.
İngilizcesi : Alfalfa dodder
Çevre İstekleri: -
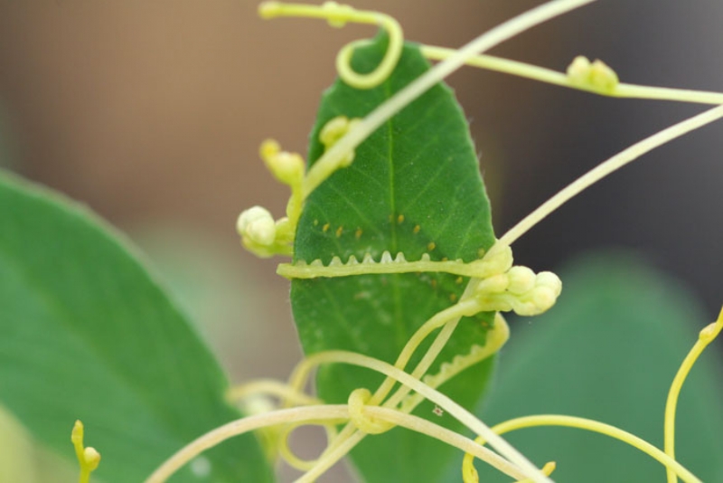
Morfolojisi : Parazit bir yabancı ottur. Gövdesi inceden orta kalınlığa, rengi ise açık sarıdan kırmızımsıya kadar değişir. Çiçek kümesi (4-) 5-13 (-15) çapında, genellikle çok ve yoğun çiçeklidir. Çiçekleri 2.5-3.5 (-4) mm, sapsız ya da kısmen sapsızdır. Çanak yapraklar taç yaprak tüpüne eşit uzunlukta yada daha uzun, çan biçimli, kısman zarımsı, üçaçılıdan yumurta şekline kadar değişen yapıda ya da ters yumurta biçimlidir, genellikle altın sarısı ya da kahverengimsi ve parlaktır.

Kapsül şeklinde olan meyveleri 1.5-2.5 mm, düzensiz yumurta biçimli ya da ters yumurtadan basık küresel biçime kadar değişen şekildedir. Tohumları 1-1.3 mmdir. Yabancı otlar da dahil olmak üzere pek çok bitkiyi parazitler.
- Admin
- ***@
- Kub çatak
- ***@





