Yaprak Biti Nedir? Zararları Ve Mücadele Yöntemleri
MEYVE AĞAÇLARINDA GÖRÜLEN YAPRAK BİTLERİ
- Elma Yeşil Yaprak Biti (Aphis pomi)
- Elma Gri Yaprak Biti (Disaphis plantaginea)
- Şeftali Yaprak Biti (Myzus persicae)
- Erik Unlu Yaprak Biti (Hyalopterus pruni)
- Şeftali Gövde Kanlı Biti (Pterochloroides persicae)
- Kırmızı Gal Yaprak Bitleri (Disaphis spp.)
YAPRAK BİTLERİ TANIMI VE YAŞAYIŞI

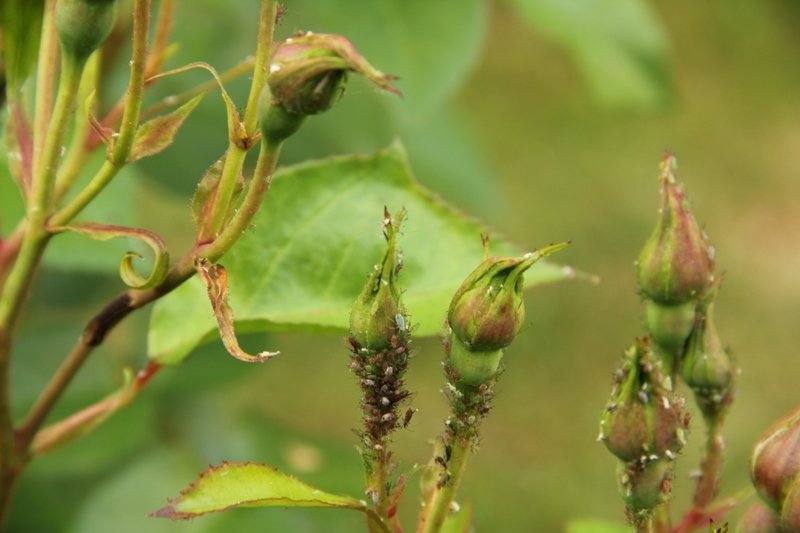
Yaprak bitleri genel olarak 1,5–3 mm boyunda, armut biçiminde küçük böceklerdir. Yumurtaları parlak siyah renkte, uzunca oval biçimde 0,5 mm uzunluğundadır. Yaprak bitleri gruplar (koloni) halinde yaşarlar. Kışı meyve ağaçlarının dal ve sürgünleri üzerine bırakmış oldukları yumurta döneminde geçirirler.
YAPRAK BİTLERİ ZARAR ŞEKLİ

Yaprak bitlerinin meyve ağaçlarının taze sürgünlerinde, genç yapraklar ve yaprak sapları üzerinde gruplar halinde beslenmeleri sonucunda, sürgünlerde kısalma ve yapraklarda kıvrılma görülür. Yoğunluğunun yüksek olması halinde, meyvelerin küçük kalmasına ve şeklinin bozulmasına neden olmaktadır. Bazı türler beslendikleri yaprakların kuvvetlice kıvrılmasına, kırmızı lekelerin oluşmasına, meyvelerin şeklinin bozulmasına ve küçük kalmasına neden olurlar. Virus hastalıkları taşımaları nedeniyle de ikincil zararları da önemlidir.
YAPRAK BİTLERİ ZARARLI OLDUĞU BİTKİLER

Elma, armut, ayva, şeftali, kayısı, badem, erik, kiraz, vişne ve zerdali
YAPRAK BİTLERİ MÜCADELE YÖNTEMLERİ

Kültürel Önlemler
Bu amaçla bahçe içerisindeki yabancı bitkiler imha edilmeli, toprak sürümüne özen gösterilmelidir. Meyve bahçeleri ve yakınında yaprakbitlerine hassas bitkiler yetiştirilmemelidir. Kış ve erken ilkbaharda ağaçlar kontrol edilmeli, yumurta görüldüğü taktirde yapılacak budama ile popülasyon düşürülmelidir.
KİMYASAL MÜCADELE
Elma yeşil yaprakbitine karşı en uygun ilaçlama zamanı, ağaçların yapraklı olduğu devrede, 100 sürgünde 15 bulaşık sürgün görüldüğü zamandır. Elma gri yaprak biti ve Elma kırmızı gal yaprakbitine karşı en uygun ilaçlama zamanı, pembe tomurcuk veya çiçek taç yapraklarının döküldüğü dönemde; Elma gri yaprak biti için 100 sürgünde 1 koloni, Elma kırmızı gal yaprak biti için 100 sürgünde 5 koloni görüldüğü zamandır.
İLGİNİZİ ÇEKEBİLİR
YAPRAK BİTLERİ KİMYASAL MÜCADELEDE KULLANILACAK İLAÇLAR VE DOZLARI
| Etkili madde adı ve oranı | Formülasyonu | Doz 100 lt suya | İlaçlama ile hasat arası süre (Gün) |
| Azadirachtin 10 g/l | EC | 300 ml (elmada) | 3 |
| Beta cyfluthrin 25g/l | EC | 30 ml (A.pomi) | 14 |
| Bifenthrin 100 g/l | EC | 50 ml (şeftali) | 21 |
| Carbosulfan 250 g/l | EC | 125 ml (A.pomi) | 14 |
| Chlorpyrifos-ethyl 480g/l | EC | 150 ml | 28 |
| Diazinon 185 g/l | EC | 200 ml | 21 |
| Diazinon 630 g/l | EC | 75 ml | 14 |
| Dichlorvos 550 g/l | EC | 200 ml | 3 |
| Dimethoate 400 g/l | EC | 100 ml | 7 |
| Fenitrothion 550 g/l | EC | 100 ml | 14 |
| Fenthion 525 g/l | EC | 150 ml | 21 |
| Imidacloprid 350 g/l | SC | 20 ml (elma ve şeftali) | 14 |
| Malathion 190 g/l | EC | 400 ml | 7 |
| Malathion 650 g/l | EC | 125 ml | 7 |
| Malathion % 25 | WP | 300 g | 7 |
| Methidathion 426 g/l | EC | 75 ml | 21 |
| Omethoate 565 g/l | SL | 125 ml | 21 |
- Aaa
- ***@sorhocam.com
- Osman
- ***@sorhocam.com
- emin
- ***@sorhocam.com
- kemal
- ***@sorhocam.com
- Nuran
- ***@sorhocam.com
- XYxx
- ***@sorhocam.com
- Armağan
- ***@sorhocam.com
- Arafa KARAÇELEBİ
- ***@
- Hasan
- ***@
- Servet
- ***@sorhocam.com
Tüketilmesi sakıncalıdır. Çünkü hastalık taşırlar.
- ORHAN BERBER
- sco***@hotmail.com
IHLAMUR ÇİÇEĞİNDE YAPRAK BİTİ GİBİ BİR ŞEY VAR. YEŞİL ÇOK KÜÇÜK BU ZARARLIMIDIR. TÜKETİLDİĞİNDE SAĞLIĞA ZARARI VARMI, BU BİR HASTALIKMIDIR
- hal
- hal***@hotmail.com
mesela sirkeli su püskürtmek olabilir mi?
- Halil Acar
- ***@
- Admin
- ***@
- Saliha
- ***@
- Mesut Akça
- ***@
Güllerde kırmızı bit olmaz, akar olur zaten onuda gözünle göremessin. O senin gördüğün yeşil yaprak bitidir. Genelde görülen yaprak biti renkleri ise siyah, sarı, kahve ve gri renkli olur.
- Admin
- ***@
- Merhaba
- ***@
- Mert Tezcan
- ***@









