Şeftali Yaprak Biti (Myzus Persicae) Mücadelesi
YAPRAK BİTLERİ (Şeftali Yaprak Biti) (Myzus persicae)
- Erik unlu yaprakbiti (Hyalopterus pruni)
- Şeftali gövde kanlı biti (Pterochloroides persicae
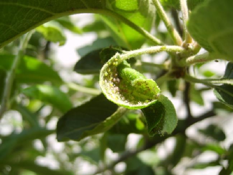
Yaprakbitleri genel olarak 1,5–3 mm boyunda, armut biçiminde küçük böceklerdir. Yumurtaları parlak siyah renkte, uzunca oval biçimde 0,5 mm uzunluğundadır. Yaprakbitleri gruplar (koloni) halinde yaşarlar. Kışı meyve ağaçlarının dal ve sürgünleri üzerine bırakmış oldukları yumurta döneminde ge- çirirler.

Zarar Şekli
Yaprakbitlerinin meyve ağaçlarının taze sürgünlerinde, genç yapraklar ve yaprak sapları üzerinde gruplar halinde beslenmeleri sonucunda, sürgünlerde kısalma ve yapraklarda kıvrılma görülür. Yoğunluğunun yüksek olması halinde, meyvelerin küçük kalmasına ve şeklinin bozulmasına neden olmaktadır. Bazı türler beslendikleri yaprakların kuvvetlice kıvrılmasına, kırmızı lekelerin oluşmasına, meyvelerin şeklinin bozulmasına ve küçük kalmasına neden olurlar.
Mücadele Yöntemleri: Kültürel Önlemler
Bu amaçla bahçe içerisindeki yabancı bitkiler imha edilmeli, toprak sürümüne özen gösterilmeli, meyve bahçeleri ve yakınında yaprakbitlerine hassas bitkiler yetiştirilmemelidir. Kış ve erken ilkbaharda ağaçlar kontrol edilmeli, yumurta görüldüğü taktirde yapılacak budama ile popülasyon düşürülmelidir.
Kimyasal Mücadele
Şeftali gövde kanlı bitine karşı en uygun ilaçlama zamanı, Nisan-Mayıs kısmen Haziran ayında 100 sürgünde her gövde yada ana dalda 2-5 yaprak biti görüldüğü zamandır. Şeftali yaprak biti, 50 ağaçta 7 bulaşık dal görüldüğü zamandır. Erik Unlu yaprak biti, Mayıs-Haziran-Temmuz aylarında 50 ağaçtan 2'sinde bulaşma, tacın ¼ üne yayılma görüldüğü zamandır.
- Ünal BAYRAMOĞLU
- ***@sorhocam.com
- Admin
- bil***@sorhocam.com
- Mustafa
- ***@sorhocam.com
- Halil
- ***@sorhocam.com



