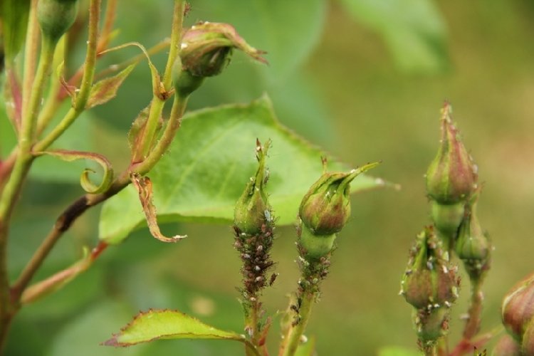
YAPRAK BİTİ - KARINCA İLİŞKİLERİ

Çoğu yaprak biti (yaprak biti) türlerinin bol miktarda balımsı maddeler salgılamaları ve bu maddelerin yüksek oranda şeker içermesi, birçok böceklerin bu maddelere üşüşmesine sebep olur. Bu böcekler arasında karıncalar, arılar ve sinekler en başta gelen grupları oluştururlar. Ancak karıncaların bu hususta diğerlerinden çok ayrı bir yeri ve özelliği vardır. Yaprak bitlerinin salgıladığı bu tatlımsı maddeler, karınca türlerinden birçoğunun besininin bir kısmını oluşturur. Fakat bazı karınca türleri de yalnızca bu maddeye bağlı olarak yaşar.

Yaprak Biti Karınca İlişkileri

Karıncalar bu maddeleri ya onların bulaşık olduğu bitkilerin üzerinden ya da yaprak bitlerinin başında bekleyerek balımsı madde vücudun sonunda damla oluşturup daha yere dökülmeden önce olmak üzere iki yoldan alır. Böylece bazı karınca türleri için yaprak bitleri çok önemli bir besin kaynağı oluşturmaktadır. Muhtelif araştırıcılar tarafından karıncalar ile yaprak bitleri arasındaki bağlantı üzerinde pek çok araştırma, gözlem ve denemeler yapılmıştır. Bunların en önemlisi Wheeler (1910)'inkidir. Bu çalışma bugün dahi bu husustaki çalışmaların temelini oluşturmaktadır.

 

Buna göre karıncalar ile yaprak bitleri arasındaki davranışlar bakımından ilgi şu şekilde özetlenebilir:

  • a) Karıncalar yaprak bitleri öldürmez veya onları yemez,
  • b) Karıncalar yaprak bitlerine özel şekilde darbeler yaparak balımsı madde salgılamasını sağlar,
  • c) Karıncalar yaprak bitleri predatör ve parazitlerine karşı korurlar,
  • d) Karıncaların bazı türleri yaprak bitleri i emin olan veya besin olan yerlere taşır;
  • e) Bazı karınca türleri yaprak biti kolonilerini yaptıkları özel yuva veya galeriler içinde saklarlar;
  • f) Yine bazı karınca türleri yaprak bitleri in yumurtalarını, ya da erginlerini kötü mevsimlerde veya zamanda kendi yuvaları içine götürerek saklar ve onları uygun mevsim ve zamanlarda tekrar bitkiler üzerine geriye getirirler;
  • g) Yine bazı türleri, bitki köklerinde yaşayan yaprak bitleri için kökler etrafında boşluk veya galeriler açarak yaprak bitlerin daha kolay hareket etmelerine ve beslenmelerine yardımcı olur.

 

Yukarıdaki bu görüşlerden bir çoğu gerçeği ifade ettiği halde bazılarının denemelerle kanıtlanması gerekir. Örneğin birinci ilgide belirtilen "karıncalar yaprak bitleri yemez" denmesi bazı araştırıcılar tarafından kabul edilmemekte ve aksi kanıtlanmaktadır. Mesela Herzig (1973), yaptığı gözlemlerde karıncaların yuvalarında ölü yaprak biti bireylerine rastladığını, ayrıca karıncaların yaprak bitleri yerken gördüğünü fakat karıncaların besin olarak yaprak bitlerine fazla itibar etmediklerini görmüş, bunun nedeninin belki de besin olarak onları sevmedikleri şeklinde açıklamaya çalışmıştır.

Yaprak Biti Karınca İlişkileri ile ilgili görsel sonucu

Burada üzerinde daha fazla durulması gereken husus, ölü veya yenen yaprak biti bireyinin yaşını tamamlamış, zayıf bireylerden oluşup oluşmadığı üzerinde durmaktır. Diğer taraftan yenen yaprak biti bireylerinin, bitkilerde daha iyi beslenebilmeleri için koloni içindeki yoğunluğu belirli bir düzeyde tutmak üzere karıncalar tarafından içgüdü ile yapılıp yapılmadığının araştırılmasıdır. Ancak bu hususlarda şimdiye kadar literatürde bilgiye pek rastlanmamıştır.

 

Diğer davranış şekli olarak karıncaların daha fazla balımsı madde elde etmek için onları antenleri veya mandibulaları ile okşamaları veya tembih etmeleri gibi durumları da yine denemelerle saptanmaları gerekir. Çünkü bu konuda yapılan gözlemlerde bazı çelişkiler bulunmaktadır. Ancak karıncaların anten ve mandibulaları ile devamlı şekilde yaprak bitlerii okşaması ve çıkan balımsı maddeleri de rahatlıkla almaları bir gerçektir. Ne var ki karıncalar tarafından alınan bu tatlımsı madde miktarı karınca türüne göre değiştiği gibi yaprak biti türü ile konukçu bitki türüne ve hatta beslenilen bitki organına göre değişmesi doğaldır. İşte bu konularda denemeler yapılarak bazı kesin rakamlar vermek gerekir. Bunları yapılmaları da oldukça güç bir iştir.

 

Ekonomik entomoloji yönünden karınca-yaprak biti arasındaki ilişkilerin en önemli tarafı, karıncaların bu ilgi dolayısıyla bitkilere olan etkileridir. Eğer karıncalar gerçekten yaprak bitleri daha fazla balımsı madde salgılanmak üzere tembih ediyorlarsa, bu şekilde daha fazla salgı yapmak daha fazla beslenmeyi gerektirecek bir durumdur ki bu da bitkilerin daha fazla zayıflamaları ve dolayısıyla zarara uğramaları demektir. Bu bakımdan karıncaların bitkilerde bu amaçla bulunmaları hiç te arzu edilmez. Eğer yaprak bitleri herhangi bir hastalık etmeni taşıyorsa ve bu yaprak bitlerinin de bitkilere bazen karıncalar tarafından taşındığı düşünülürse, bu da karıncaların bitkilerde tehlikeli olabileceklerini gösterir. Özellikle bu durum daha çok koşniller için söz konusu olabilmektedir.

 

Bundan başka bazı araştırıcılara göre balımsı maddeler üzerinde gelişen ve fumajine neden olan saprofit mantar sporları bazı hallerde karıncalar tarafından taşınmaktadır. Bu durumun pek söz konusu olmaması düşünülebilir. Çünkü yeteri kadar karınca populasyonu olduğu taktirde salgılanan balımsı maddelerin tümü karıncalar tarafından alınacağına göre, bu konudaki karıncaların faaliyetleri bitkiler lehine olmaktadır. Ancak Entomophthora cinsine ait, yaprak bitleri hastaland cinsine ait, yaprak bitleri hastalandıran fungus sporlarının karıncalar tarafından taşınması söz konusu olduğunda, bunu da ayrı şekilde değerlendirmek gerekir.

 

Karıncaların biyolojik savaşla olan ilgileri gerçekten önem taşımaktadır. Ancak burada söz konusu olan durum, karıncaların bizzat kendilerinin biyolojik savaşta kullanılmaları değil, fakat daha çok yaprak bitleri ilişkilerinden dolayı yaprak bitlerinin doğal düşmanlarına etkileri dolayısıyladır. Yaprak bitlerine bekçilik eden bazı karınca türleri saldırgan bir davranışa sahip olabilir. Bu gibi karıncalar yaprak biti kolonileri arasında bekçilik yaparken koloni içine giren herhangi bir böcek veya yabancı cisimden hoşlanmazlar, dolayısıyla saldırırlar. Bu nedenle bu gibi yaprak biti kolonilerine gelen parazit arıcıklar karıncaların etkisinden normal faaliyetlerini sürdüremezler. Biyolojik savaşta bu durumu dikkate almak, karıncaların, türlerini, davranışlarını ve populasyon durumlarını saptamak üzere bir ön sürvey yapmak faydalıdır.

 

Aynı şekilde bu durum coccinellid, chrysopid ve diğer predatörler için de geçerlidir. Her ne kadar coccinelidae ve chrysopid larvalarının çoğu, ortama uyarak karınca ve diğer düşmanlardan kendini korumak üzere kamufle ederlerse de bunlar yaprak biti kolonileri içinde dolaşarak avlarını ararken çok defa karıncalara da değerler. İşte bu esnada karınca, bacağına değen yabancı cismi teper. Çoğu defa da tepilen larva bitkiden aşağı atılmış olur. Bu hareket etkisizmiş gibi görünmekte ise de predatörlerin etkisini büyük oranda azaltabilir.

 

Nitekim Cryptolaemus montrouzeri' nin Pseudococcus'lara karşı etkili olması için kullanıldığı alanlarda karıncaların bulunmaması gerektiğini bir çok araştırıcılar gözlemişlerdir. Bu nedenle yaprak bitilere karşı eğer predatörlerle bir biyolojik savaş yöntemi uygulanacaksa karıncaların faaliyetlerini de dikkate almak gerekir.

 

Genel olarak söylemek gerekirse, yaprak bitlerine bunlara bekçilik eden karıncalar arasındaki ilginin faydalı veya zararlı olduğunu kesinlikle saptamak, karıncaların diğer böcekler ve konukçu bitkilerin bizzat kendileri ile olan ilişkilerini çok iyi anlamak gerekir. Ancak bu çok güç ve karışık bir iştir. Bu hususta yüzeysel gözlemlere dayanarak bilgi vermek çok defa yanılgılara sebep olur.

 

Bu konuda aşağıdaki örneği vermek faydalı olacaktır.; Batı Afrika'da ve özellikle Ghana'da kakao ağaçlarında çok zararlı olan Pseudococcus njalensis Laing isimli unlu bit bulunur. Bu zararlı Laing isimli unlu bit bulunur. Bu zararlı özellikle kakao ağaçlarının çok tehlikeli bir virüs hastalığı olan Swollen-shoot disease'in en önemli vektörüdür. Bu hastalık dolayısıyla Batı Afrika'da her yıl milyonlarca kakao ağacı kesilmektedir. Zira bu hastalığa karşı en geçerli yöntemdir.

 

Ancak P.njalensis ile Crematogaster cinsine ba ile Crematogaster cinsine bağlı bazı karınca türleri arasında çok sıkı ilişkiler bulunmaktadır. Bu ilişkilerin başlıcası karıncaların unlu bitin çıkardığı balımsı maddeleri emmeleridir. Yapılan denemeler, karıncaların bulunmadığı yerlerde P.njalensis'in de ya'in de yaşayamadığını göstermiştir. Bunun nedeni de unlu bitin salgıladığı balımsı maddelerin karınca olmadığı için ortada kalarak birikmesi ve bunlar üzerinde yetişen saprofit ve diğer funguslar dolayısıyla P.njalensis'in de ya'in de yaşayamamasıdır.

 

Bu belirlendiği için, çok zararlı olan bu unlu bite karşı yapılacak savaş, karıncalara karşı yöneltildiği taktirde başarı sağlanabileceği fikri ortaya sürülmüştür. Bu düşünce ile karıncalara karşı dieldrin ve benzeri insektisitlerle bazı yerlerde savaşa girişilmiştir. Bunun sonucunda her ne kadar karıncalar bir süre için yok edilmişlerse de savaş yapılan alanda bu defa kakao ağaçları diğer birtakım zararlı böcek problemleri ile karşı karşıya kalmıştır. Bu verilen örnek her ne kadar bir koşnil türü ile ilgili de olsa aynı durum yaprak bitleri için de olabilir. Bu nedenle yaprak biti-karınca ilişkileri basit olmaktan çok kompleks bir konudur.

Konu Görselleri
  • Yaprak Biti Karınca İlişkileri
  • Yaprak Biti Karınca İlişkileri
  • Yaprak Biti Karınca İlişkileri
  • Yaprak Biti Karınca İlişkileri
  • Yaprak Biti Karınca İlişkileri
  • Yaprak Biti Karınca İlişkileri
  • Yaprak Biti Karınca İlişkileri
  • Yaprak Biti Karınca İlişkileri
BU KONU HAKKINDAKİ YORUMUNUZ NEDİR?
KULLANICI GİRİŞİ

Gmail Hesabım İle Bağlan

Yeni Kayıt Formu
Şifremi Unuttum?